Diptera.info :: Identification queries :: Diptera (adults)
Who is here? 1 guest(s)
|
Hippoboscidae (Pseudolynchia? Ornithomya?)
|
|
| Pietro |
Posted on 10-12-2009 17:47
|
|
Member Location: Alghero Sardinia Italy Posts: 973 Joined: 16.09.06 |
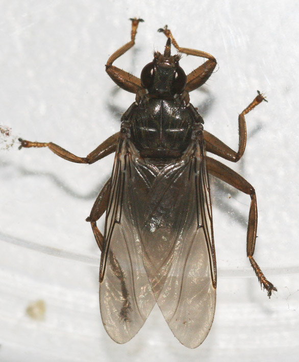
Alghero, Sardinia 5/12/2009 dimensions: around 8 mm. Thanks in advance for your help. Pietro attached the following image: ![]() [114.79Kb] Ciao Pietro |
|
|
|
| Pietro |
Posted on 10-12-2009 17:47
|
|
Member Location: Alghero Sardinia Italy Posts: 973 Joined: 16.09.06 |
Photo 2
Pietro attached the following image: ![]() [121.71Kb] |
|
|
|
| Pietro |
Posted on 10-12-2009 17:48
|
|
Member Location: Alghero Sardinia Italy Posts: 973 Joined: 16.09.06 |
Photo 3
Pietro attached the following image: ![]() [117.3Kb] |
|
|
|
| Paul Beuk |
Posted on 10-12-2009 20:03
|
|
Super Administrator Location: Netherlands Posts: 19403 Joined: 11.05.04 |
Pseudolynchia
Paul - - - - Paul Beuk on https://diptera.info |
| Pietro |
Posted on 10-12-2009 20:29
|
|
Member Location: Alghero Sardinia Italy Posts: 973 Joined: 16.09.06 |
Thanks Paul!
Ciao Pietro |
|
|
|
| Jump to Forum: |
















