Diptera.info :: Family forums :: Syrphidae
Who is here? 1 guest(s)
|
Brachyopa scutellaris ?
|
|
| bertrandpami |
Posted on 21-03-2026 11:19
|
|
Member Location: France (near Compiègne) Posts: 1219 Joined: 10.06.11 |
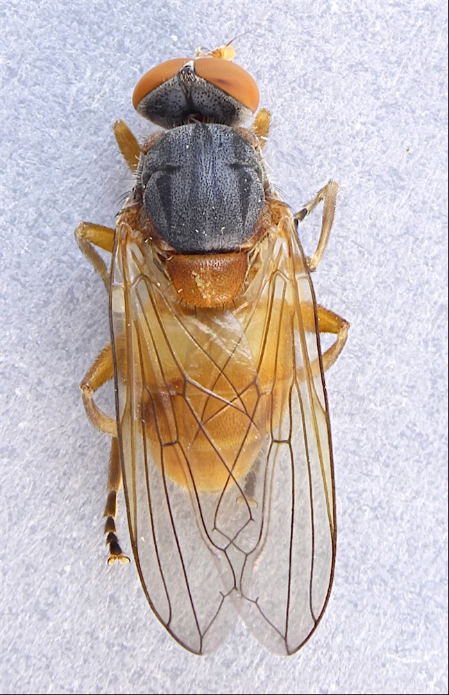
Hi, On a forest path. Cuise-La-Motte (Northen France) - 18-03-2025 - 7 mm Good id ? Many thanks. Michel bertrandpami attached the following image: ![]() [162.1Kb] |
|
|
|
| bertrandpami |
Posted on 21-03-2026 11:19
|
|
Member Location: France (near Compiègne) Posts: 1219 Joined: 10.06.11 |
Other view :
bertrandpami attached the following image: ![]() [198.07Kb] |
|
|
|
| Jump to Forum: |














