Diptera.info :: Identification queries :: Diptera (adults)
|
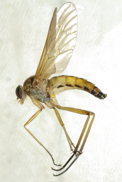
Rhagio sp male, NE HU, July
|
|
| pwalter |
Posted on 03-08-2009 21:03
|
|
Member Location: Miskolc, Hungary Posts: 3555 Joined: 06.11.08 |
Hi, can someone tell the species for this quite big one?
pwalter attached the following image: ![]() [111.9Kb] |
|
|
|
| pwalter |
Posted on 03-08-2009 21:04
|
|
Member Location: Miskolc, Hungary Posts: 3555 Joined: 06.11.08 |
2
pwalter attached the following image: ![]() [159.72Kb] |
|
|
|
| Zeegers |
Posted on 03-08-2009 21:14
|
|
Member Location: Soest, NL Posts: 19310 Joined: 21.07.04 |
Rhagio tringarius, unless if from spring Theo |
|
|
|
| pwalter |
Posted on 03-08-2009 21:16
|
|
Member Location: Miskolc, Hungary Posts: 3555 Joined: 06.11.08 |
Thanks, it was in July (most of the times I only write date to the name of the thread). |
|
|
|
| Jump to Forum: |














